风王“山竹”会被除名吗?

澎湃新闻
摘要:致近300万人受灾,直接经济损失达52亿元的山竹,会被除名吗?

划重点:
1、“山竹”因何命名,为什么给凶残的风王起这种软萌的名字?
2、“山竹”会被除名吗?之后接替它的还会是水果吗?
3、盘点历史上因为“太凶”而被除名的台风。
*********************************************
“听说台风‘山竹’要被除名?”
“下一个名字还会是水果么?”
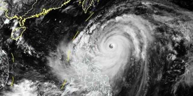
9月16日17时左右,气势汹汹的第22号台风“山竹”在广东省台山沿岸登陆。17日,一组深圳市民使出“十八般武艺”只为绕开上班路上倒伏大树的图片引发网友热议。深圳天气微博更是@中央气象台,表示申请除名“山竹”。
台风是如何被命名的?什么样的台风会被除名,有哪些台风曾被除名呢?

下面2000多字的文章,你可以花5分钟进行阅读↓↓↓
[名字从何而来]
西北太平洋生成的热带气旋被称为台风。据传,20世纪前叶,澳大利亚预报员克里门兰格把热带气旋取名为他不喜欢的政治人物,这是台风第一次有了名字。
1945年,在西北太平洋地区,人们开始用人名来命名台风。由于缺乏组织和沟通,同一个台风往往被周边国家起了好几个名字。名称混乱使得发布的预警信息也变得模糊。
1997年,台风委员会第30次年度会议认为,亚洲风格的名字更能使人们对台风提高警惕,提高警告效用,因此建议设定一个大家共同认可的命名制度。2000年1月1日,西北太平洋和南中国海热带气旋命名表正式启用。
台风的名字由下表中的14个世界气象组织所属的亚太地区的成员国家或地区命名。每个成员提出10个名称。名称均以英文形式呈现,中国气象局和香港天文台、澳门地球物理暨气象局协商确定中文译名。

台风命名成员国
这140个名称始终处于循环使用的状态,直到“退役”的那一天。
[取名、除名原则]
只要符合原则,取名全凭爱好
各成员提交或后期替补的名称都需遵守几项基本原则。
每个名称不能超过9个英文字母,这是为了避免发布预警信息时单词太过复杂;名称要容易发音;不能在各成员使用的语言、宗教、习俗中带有不良含义;选取的名称应得到台风委员会全体成员的认可。
只要符合这几项基本原则,取什么名字全凭各成员喜好了。比如中国喜用“悟空”“杜鹃”等神话和花类名称;香港爱用“珊珊”“玲玲”等女孩儿的名字;韩国常常选择“飞燕”“浣熊”等动物名称,当然,还有喜爱用水果命名的泰国。

富有亚洲特色的台风名称
太“凶”会被开除
对于造成特别严重灾害的热带气旋或因其他原因,台风委员会成员都可以申请将该热带气旋名称从命名表中删除。被除名的名称将永远代表它最后一次跟随的台风。热带气旋命名表上每一个名字的序列都是固定的,当某一名称被除名后,提供该名称的成员需提交一个新的名称,填补这一序列空缺,台风“山竹”就有一位“前任”。
2006年第21号超强台风“榴莲”在菲律宾造成数百人死亡,成为菲律宾历史上最严重的灾难之一。因此,菲律宾在当年召开的台风委员会年度会议上提出将“榴莲”除名。
与此同时,提供“榴莲”名称的泰国则须在第二年召开的台风委员会年度会议上提交新的名称,“山竹”便由此而来。

[截至目前,被除名的共有36个名称,严重影响我国并被除名的台风有12个]:
2013年11月,由我国命名的2013年第30号台风“海燕”登陆菲律宾,给当地造成重大伤亡。为此,台风委员会根据相关规定,决定将海燕除名,由“布谷”替补。
2010年第11号台风“凡亚比”(超强台风)在中国东南部、台湾总共造成101人死亡,41人失踪。因灾伤病328人,紧急转移安置12.9万人,直接经济损失51.5亿元人民币。其替补名为“雷伊”(Rai)。(密克罗尼西亚命名)
2009年第8号台风“莫拉克”在台、闽、浙、赣造成巨大损失,遇难人数600人以上,8000余人被困,造成台湾数百亿台币损失,大陆损失近百亿人民币,被除名,替补名为“艾莎尼”(Atsani)。(泰国命名)
2009年第17号台风“芭玛”(超强台风)造成菲律宾重大人员伤亡和财产损失,台湾降水量打破全年记录,给海南、广西等省造成一定洪涝灾害,经济损失惨重,死亡441人,替补名为“烟花”(In-Fa)。(中国澳门命名)
2006年第1号台风“珍珠”(强台风),在菲律宾、中国东南部、台湾总共造成104人死亡以及12亿美元的损失,替补命名为“三巴”(Sanba)。(中国澳门命名)
2006年第4号台风“碧利斯”(强热带风暴),在菲律宾、中国东南部、台湾总共造成800多人死亡或失踪以及44亿美元的损失,替补命名为“马力斯”(Maliksi)。(菲律宾命名)
2006年第8号台风“桑美”(超强台风),在马利安那群岛、中国东南沿海以及台湾省总共造成458人死亡以及25亿美元的经济损失,替补命名为“山神”(Son-Tinh)。(越南命名)
2005年第9号台风“麦莎”(强台风),给我国华东地区造成重大损失。40万人被撤离,上海地铁停运。仅浙江直接经济损失达65亿元(其中宁波损失27亿元)。江苏发生狂风暴雨天气,并且造成经济损失达12亿元。替补命名为“帕卡”(Pakhar)。(老挝命名)
2005年第19号台风“龙王”(超强台风),给我国台湾、福建、广东、江西等地造成大风大雨,并造成一定人员伤亡,替补命名为“海葵”(Haikui)。(中国命名)
2004年第14号台风“云娜”(强台风),“云娜”台风登陆中国东南沿海。造成164人死亡,24人失踪,直接经济损失达181.28亿元。替补命名为“凡亚比”(Fanapi)。(密克罗尼西亚命名)
2003年第7号台风“伊布都”(超强台风),造成菲律宾、我国华南地区重大人员伤亡。仅在中国广西就造成12人死亡,损失超过5亿元。替补命名为“莫拉菲”(Molave)。(菲律宾命名)
2001年第26号台风“画眉”(热带风暴),虽然不是很强,但它是有史以来最靠近赤道的台风,所以被除名了,替补命名为“琵琶”(Peipah)。(中国澳门命名)
[“山竹”的未来]
每年召开的台风委员会年度会议都会回顾这一年里出现的台风,总结经验教训。如有成员提出将某一名称除名,经台风委员会决定,便可令其“退役”。
如果“山竹”被除名了,下一个“接任”的究竟是水果或是其他,并不是最重要的。希望下一次这个序列位置所出现的台风能“温柔”一些,不要带来那么多的灾难。
